Cornell Botanic Gardens
Cornell Botanic Gardens
Cornell Botanic Gardens
Garden Explorer
Search
Map
Browse
Features
Taxon
English
Taxon
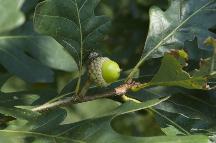
Quercus
alba
1 / 3
Next
Common name:
white oak, forked-leaved white oak, quebec oak, ridge white oak, stave oak (English)
Family:
Fagaceae (Beech)
Distribution:
Canada, USA
Hardiness:
Zone 3 (-40 to -30 F)
Life form:
Deciduous tree
Oak Collection:
Oak Collection
Description:
Pyramidal when young, upright-rounded to broad rounded with wide-spreading branches at maturity. Can reach well over 100' in height in the wild; width far exceeds height. Fall color varies from brown to a rich red to a wine color and lasts for a long period of time.
Locations
1:
Arboretum - Adam's Grove
(A-AG)
• Accession: 1983-261*B
2:
Arboretum - Adam's Grove
(A-AG)
• Accession: 1983-261*C
3:
Arboretum - Arboreutum Road - North
(A-AR-N)
• Accession: 1994-097*A • Origin: United States of America
4:
Arboretum - Arboreutum Road - North
(A-AR-N)
• Accession: 1994-097*C • Origin: United States of America
5:
Arboretum - Kephart Glen
(A-KG)
• Accession: 2021-029*A • Origin: United States of America
6:
Arboretum - Kephart Glen
(A-KG)
• Accession: 2021-032 • Origin: United States of America
7:
Arboretum - Kephart Glen
(A-KG)
• Accession: 2021-033*A • Origin: United States of America
8:
Arboretum - Kephart Glen
(A-KG)
• Accession: 2021-034*A • Origin: United States of America
9:
Arboretum - Kephart Glen
(A-KG)
• Accession: 2021-035*A • Origin: United States of America
10:
Arboretum - Kephart Glen
(A-KG)
• Accession: 2023-132*A
11:
Arboretum - Kephart Glen
(A-KG)
• Accession: 2023-133*A
12:
Arboretum - Kephart Glen
(A-KG)
• Accession: 2023-134*A
13:
Arboretum - Kephart Glen
(A-KG)
• Accession: 2023-135*A
14:
Arboretum - Kephart Glen
(A-KG)
• Accession: 2023-136*A
15:
Arboretum - Lowlands Collection - Baird
(A-LL-B)
• Accession: 2002-484*A • Origin: United States of America
16:
Arboretum - Schnee Oak Hickory Collection
(A-SOH)
• Accession: 1983-261*A
17:
Arboretum - Schnee Oak Hickory Collection
(A-SOH)
• Accession: 1994-097*B • Origin: United States of America
18:
Arboretum - Urban Tree Collection - South of Arboretum Road
(A-UT-S)
• Accession: 2011-279*A
Area
Individual